Modifica alla viabilità di Via Monte Grappa

Dettagli della notizia

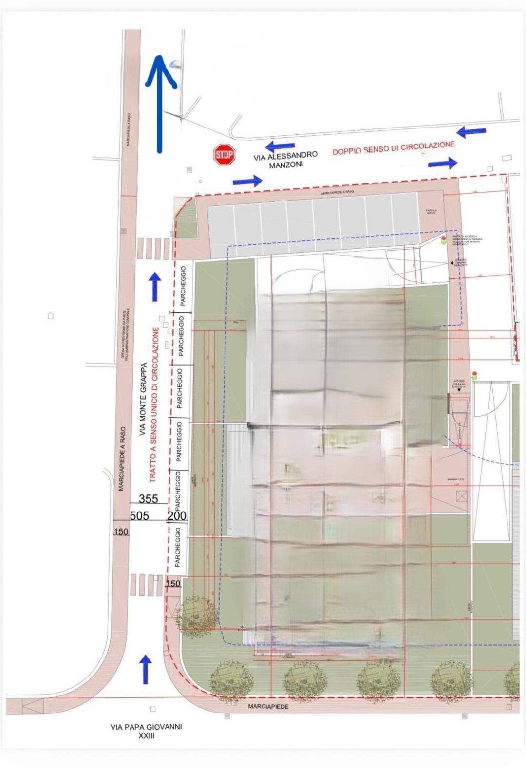
Via Monte Grappa diventerà completamente a senso unico di marcia.

Data:

A partire dal 2 febbraio

Tempo di lettura:

Modifica alla viabilità di Via Monte Grappa

Senso unico

Si informa la cittadinanza che a partire da lunedì 2 febbraio la via Monte Grappa diventerà completamente a senso unico di marcia.

La modifica è stata introdotta per migliorare la sicurezza e la fluidità della circolazione.
Si invitano pertanto tutti gli automobilisti e gli utenti della strada a prestare la massima attenzione alla nuova segnaletica stradale, che sarà installata lungo il tratto interessato.

Si ringrazia per la collaborazione.


Pagina aggiornata il 01/02/2026, 16:11

Quanto sono chiare le informazioni su questa pagina?

Valuta da 1 a 5 stelle la pagina

Grazie, il tuo parere ci aiuterà a migliorare il servizio!

Quali sono stati gli aspetti che hai preferito? 1/2

Dove hai incontrato le maggiori difficoltà? 1/2

Vuoi aggiungere altri dettagli? 2/2

Inserire massimo 200 caratteri